Oakhurst Subdivision
Project Summary
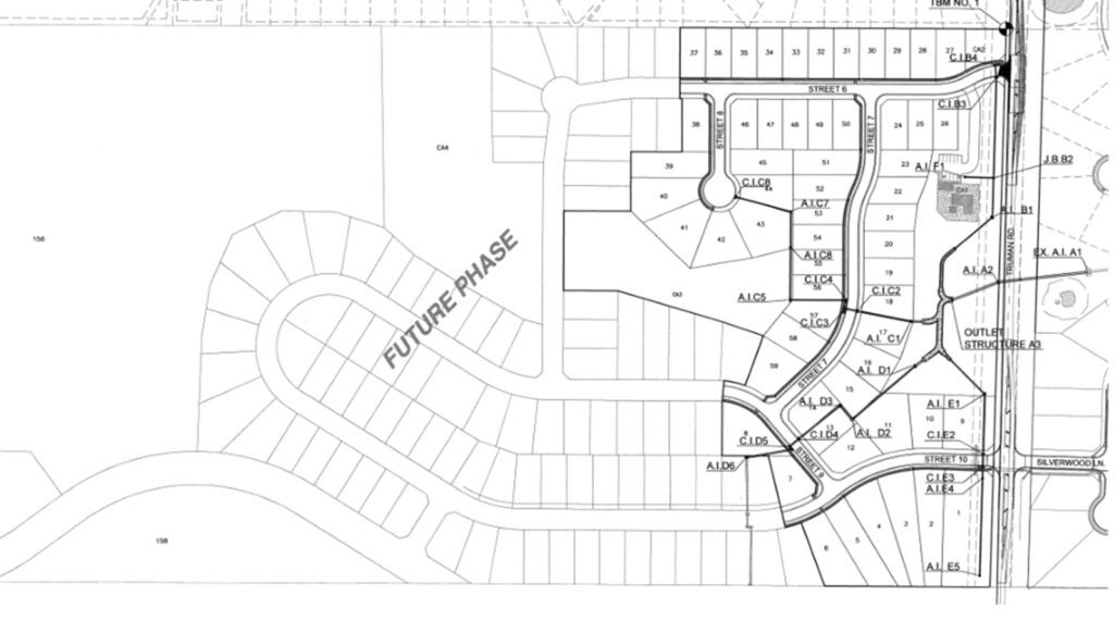
This subdivision consists of multiple phases. Phase 1 is the current phase under construction and will consist of 59 single family lots
Developer:
Oakhurst Development, LLC
Phase 1 features 59 single-family lots.
February 11, 2026
Construction Update
Phase 1 of Forest Heights has been approved by City Staff and public infrastructure is under construction.

